Weather Channel's Hurricane Coverage & Real-Time Footage

P.Encode 10 views
Weather Channel's Hurricane Coverage & Real-Time Footage

Weather Channel’s Hurricane Coverage & Real-Time Footage

Hey everyone, are you ready to dive into the world of pseilivese hurricane footage and the Weather Channel ? Buckle up, because we’re about to explore the ins and outs of how the Weather Channel delivers crucial information during these intense weather events. From the chilling real-time footage to the expert analysis, we’ll see what makes their coverage so essential. Also, we’ll try to understand the importance of pseilivese hurricane footage during a hurricane and how the Weather Channel brings it to your screens.

The Power of Real-Time Hurricane Coverage

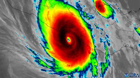
Let’s be real, when a hurricane is bearing down, everyone wants to know what’s really happening. That’s where the Weather Channel’s real-time hurricane coverage steps in. They’re not just giving you a rundown of the forecast; they’re showing you the actual conditions. Think live reports from the ground, the raw power of the wind and rain, and the visual impact of the storm. This is where pseilivese hurricane footage plays a huge part. It offers a unique view of the storm’s impact. It’s a lot different from reading about it or seeing a map. Seeing the storm live helps people understand the severity. This real-time aspect is super important for several reasons. It helps people see the immediate dangers, like flooding and flying debris. This can be a huge motivator for people to take action to stay safe. It also gives people a better sense of how the storm is changing. The Weather Channel constantly updates the information. They show how fast the storm is moving and how strong it is getting. This helps people make better decisions about what to do next. It is not just about the visuals, though. It also includes the crucial context and analysis that turns raw footage into understandable information. Meteorologists break down what you’re seeing, explaining the storm’s intensity, potential impact, and how it might evolve. This combination of real-time footage and expert analysis is what makes the Weather Channel’s coverage so invaluable, especially during such critical times.

Imagine you’re in an area that’s about to be hit by a hurricane. The anticipation is high, and you’re glued to the screen, looking for the most recent updates. That is the moment where the Weather Channel’s live coverage makes a huge difference. You’re not just watching the news; you’re getting a firsthand account of the storm. The cameras, reporters, and the pseilivese hurricane footage create an instant window into the chaos. The channel uses a variety of sources to give you a comprehensive picture. Reporters on the ground, the cameras that are fixed, and even the weather radar, all combined to help the audience understand the entire situation and its evolution. This strategy makes the coverage feel as dynamic as the hurricanes. The Weather Channel doesn’t just show you the footage; they interpret it. Meteorologists explain what the wind speeds mean, what areas are at risk of flooding, and when the storm is expected to hit. This helps people understand the implications of the storm and stay safe. It’s also very important to remember that weather patterns and hurricanes are very complicated. Expert opinions can help explain why things are happening the way they are. This helps to reduce panic and confusion. Instead, the viewers can follow the coverage of the Weather Channel with a feeling of understanding and preparation. The value of this real-time, comprehensive approach to hurricane coverage cannot be overstated. It gives people the tools they need to protect themselves, their families, and their communities during some of the most dangerous weather events on earth.

Analyzing Pseilivese Hurricane Footage: What You See and Why It Matters

Now, let’s zoom in on pseilivese hurricane footage . What exactly is this, and why is it so important? This footage is more than just pretty pictures; it’s a direct window into the heart of the storm. It reveals the wind, rain, and storm surges. It shows the intensity of the hurricane, but it can also reveal its effect on the community. It’s often captured by the reporters on the ground or by cameras set up in key locations. The purpose of this kind of footage is to show what’s happening in real-time. It is essential to get a clear picture of the situation as it evolves. This level of immediacy is a game-changer. It helps people understand the severity of the situation. It helps them make informed decisions about their safety. When you see a live shot of a flooded street or a building being hit by strong winds, it’s far more impactful than just hearing the data. This visual element creates a sense of urgency. It also helps people visualize the danger they are facing. It is also important to know that pseilivese hurricane footage isn’t just about showing the storm’s impact. It’s also about showing the science behind it. Meteorologists use this footage to explain storm dynamics, how the winds work, and what the waves look like. They explain the different stages of the hurricane and its possible impacts. This helps viewers understand why the storm is behaving as it is. It helps them prepare. This is how the footage serves a very important educational purpose. In the end, the key goal of pseilivese hurricane footage is to help people prepare for the worst. It is about informing the viewers. It helps the viewers stay up-to-date. This kind of coverage helps to save lives and protect property. It is a critical component of the Weather Channel’s hurricane coverage. It makes their coverage important.

The Role of the Weather Channel’s Experts and Technology

Ok, let’s talk about the unsung heroes of the Weather Channel’s coverage: the experts and the tech. The meteorologists are the stars of the show. They analyze the data, interpret the footage, and explain the storm’s behavior to the public. They have the knowledge and experience to break down complicated weather patterns into easy-to-understand terms. This is super important because it demystifies the storm and helps people grasp the potential risks. These experts aren’t just reading off a script. They’re using sophisticated technology to provide the most accurate and up-to-date information. They are using weather models, radar systems, and satellite imagery to track the storm’s progress. This lets them make accurate predictions. This data is the foundation of their analysis, providing viewers with critical insights into the storm’s trajectory, intensity, and potential impact areas. The Weather Channel also has a network of reporters on the ground, equipped with the latest technology. They’re in the thick of it, reporting live from the areas affected by the hurricane. These reporters are the eyes and ears of the channel, giving the public a firsthand account of the storm’s impact. They’re using advanced tools to capture the storm’s strength and communicate the situation to the public. This team is using technology such as drones to get aerial views of the storm. This is helping the viewers to see the big picture. When you put all of these pieces together, the technology, the experts, and the real-time footage, you get a powerful tool that helps people prepare for hurricanes and other weather events. It is a comprehensive coverage that keeps people informed and safe during the most dangerous times.

The Importance of Preparedness and Staying Informed

Let’s be honest. No matter how good the Weather Channel’s coverage is, it all comes down to personal preparedness. Knowing what to do and having a plan in place before a hurricane hits is super important. The Weather Channel can give you the data and the footage, but it’s up to you to act on it. What does this mean in practice? It means having a plan for your family. Know where you’re going to go if you have to evacuate. Make sure you have an emergency kit. You need things like food, water, a first-aid kit, and a way to communicate with others. Staying informed is the other part of the equation. This is where the Weather Channel shines. Watch their coverage, follow their updates, and heed their warnings. They’re constantly updating their forecasts and providing essential information. The news coverage is critical. It helps you stay informed on the hurricane’s track and its intensity. They’re also giving important advice. This can include what to do to protect your property and how to stay safe. During a hurricane, there are a lot of details. The Weather Channel breaks down the complicated information into easy-to-understand terms. This is important because it can be hard to take in all the information. The goal is simple: to make sure that the people who are in the storm’s path can stay safe. By using the Weather Channel’s real-time footage and expert analysis, you can get the best possible picture of the situation. This will help you make decisions that could save your life or the lives of your family. Remember, preparedness and staying informed are your best defenses against the power of a hurricane. It is important to stay updated, prepared, and informed.

Conclusion: Staying Safe with the Weather Channel

So, as we’ve seen, the Weather Channel plays an important role. They’re not just telling you about the weather; they’re showing you. With their real-time footage, expert analysis, and commitment to providing accurate information, they’re a vital resource during hurricane season. Remember to stay informed, prepare your home, and always heed the warnings of the experts. Be safe, and let’s hope for the best.