OSCOSCP & Melissa: Radar Secrets Revealed

P.Encode 114 views
OSCOSCP & Melissa: Radar Secrets Revealed

OSCOSCP & Melissa: Radar Secrets Revealed

Hey guys, let’s dive into some seriously cool tech stuff! We’re talking about OSCOSCP , SEISC , SCHURRICANE , SCSC , and of course, the awesome Melissa and her connection to Radar . This isn’t just about throwing some tech terms around; we’re going to break down how these elements come together, revealing some of the inner workings of how we see the world. Buckle up, because we’re about to explore the fascinating world of radar technology and how it intersects with various scientific applications. We’ll be chatting about the importance of these technologies and what makes them tick. It’s going to be a fun ride through the science of detection! From the basic principles to the intricate details, we’ll cover it all.

First off, OSCOSCP – ever heard of it? It stands for something pretty important in the realm of radar and similar tech. OSCOSCP, or Oscilloscope , is an electronic test instrument that graphically displays varying signal voltages, usually as a two-dimensional plot of one or more signals as a function of time. In simple terms, it’s like a visualizer for the electrical signals generated by radar systems and other devices. Think of it as the eyes that let us see the electrical activity happening behind the scenes. Without an oscilloscope, understanding the behavior of these systems would be like trying to understand a complex recipe without being able to see the ingredients. It shows waveforms, which are crucial for analyzing the performance of radar and related technologies.

Then there’s SEISC , which stands for Seismic . While seismic activity might sound unrelated to radar, it’s very much connected. Seismic data is often used in conjunction with radar data to analyze ground conditions and detect subtle changes. This combined approach, used in applications like ground penetrating radar, can offer a more complete picture of what lies beneath the surface. It helps scientists and engineers better understand the earth. For example, by combining seismic data with radar imagery, you might be able to spot areas where the ground has shifted, giving clues about underground structures, potential hazards, or natural resources. It is all about interpretation when it comes to science, and how different methods used together can deliver more accurate results. Now, isn’t that cool?

Diving into SCHURRICANE, SCSC and Radar Systems

Next, let’s move onto SCHURRICANE . This is a combination of data, or a form of processing of specific information that’s been gathered. It’s about taking raw data from radar and other sensors and turning it into something we can understand. Imagine radar systems as the cameras that take pictures of the world. Then, SCHURRICANE is the software that interprets those photos, enhancing details and making them useful. By processing the raw data, SCHURRICANE can highlight specific features, remove noise, and extract valuable information. It plays a pivotal role in applications ranging from weather forecasting to environmental monitoring.

Let’s move on to SCSC . This is important for many of the processing functions of radar, and many other technologies as well. It provides the central framework for radar systems. They act as the central command center, coordinating all aspects of radar operation. They receive signals, process them, and output data that is then analyzed. With SCSC, radar systems can be highly efficient and accurate in a lot of different applications. It helps them perform complex tasks and generate the detailed information that we rely on. It’s all about coordinating the flow of information to make sense of the world around us. A radar system with robust SCSC capabilities can handle a wide range of situations.

Of course, we can’t forget Radar itself. Radar systems transmit electromagnetic waves and then detect the reflections of those waves off of objects, and they have become super advanced in recent years. Radar is used for everything from weather forecasting and air traffic control to mapping the surface of planets. The applications are pretty much endless, really. By analyzing the time it takes for the waves to return and their intensity, radar systems can determine the distance, speed, and even the composition of objects. Whether it’s the advanced radar systems used for weather tracking or the radar on your car that helps prevent collisions, the principles remain the same. The technology allows us to see beyond what the human eye can see, giving us valuable information about our environment.

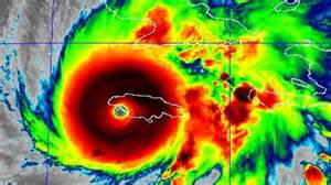
Melissa and the Power of Radar

And now to the star of the show: Melissa . She is often talked about in the context of radar projects, sometimes being used as a term, or as the name of a specific system. It is also often used to discuss research projects and software tools related to these technologies. When we discuss projects such as these, we’re often talking about highly sophisticated systems designed to collect, process, and analyze vast amounts of data. This is where advanced radar systems and software come into play. It requires a lot of technical expertise to build and use these kinds of systems. These systems are used in diverse fields, like national security, disaster response, and scientific research. So, the technology is pretty versatile, right?

Radar and related technologies are constantly evolving. Advances in software, hardware, and data analysis techniques are continuously improving the accuracy, efficiency, and capabilities of these systems. As a result, radar is playing a growing role in various applications, and the development and study of systems like those associated with Melissa will likely continue to expand.

The Connection: A Deep Dive

So, what’s the connection between OSCOSCP , SEISC , SCHURRICANE , SCSC , Melissa , and Radar ? It’s all about creating a better understanding of the world. Each component contributes to a larger whole, allowing us to gather, analyze, and interpret information more effectively. It is a world of information at your fingertips, and the ability to interpret it. The interplay of each of these elements is a key part of understanding how radar works. They are all interconnected, helping us uncover and understand different aspects of the environment. From visualizing the signals with an oscilloscope to interpreting the processed data through systems such as Melissa, each piece plays a role in the bigger picture. When these technologies come together, the combined power allows scientists and engineers to achieve remarkable things. It’s how we see the world, the environment, and the universe.

Practical Applications and Real-World Examples

Let’s get down to the nuts and bolts. Where do we see these technologies at work every day? Well, radar is everywhere. Think of air traffic control, where radar tracks planes to ensure safe navigation. Or consider weather forecasting, where radar maps rainfall and storm patterns. In the realm of environmental science, radar is used to monitor deforestation and changes in land use. Radar can even be used to monitor the structural integrity of bridges and other infrastructure. In military and security applications, radar is used to detect potential threats and monitor borders. It’s also utilized in the development of autonomous vehicles, and it’s something that is constantly improving.

Now, how about SCHURRICANE ? Imagine a scenario where a hurricane is approaching. The processing power of SCHURRICANE would be used to analyze radar data. The data then creates precise forecasts, and provides early warnings, helping people to prepare and respond to the disaster. Consider the use of SEISC in geological surveys. Radar data combined with seismic information could identify underground features. This type of information is vital for infrastructure planning and disaster preparedness. Let’s not forget SCSC , which helps to manage all of the processing tasks in these applications. Whether it’s weather forecasting, environmental monitoring, or geological surveys, SCSC ensures that the entire system works like a well-oiled machine. It acts as the backbone of radar, supporting various complex operations.

Challenges and the Future

While the technology is impressive, there are challenges to address. One of the main hurdles is dealing with large amounts of data. Radar systems generate huge datasets that require efficient processing and storage. Another is improving the accuracy and resolution of radar signals. Scientists and engineers are constantly looking for ways to reduce noise and enhance the quality of data. There’s also the challenge of integrating radar technology with other sensing systems to create more comprehensive and complete information. As technology improves, we’re likely to see radar systems becoming more intelligent, more versatile, and more integrated. The future of radar involves AI, machine learning, and advanced algorithms that are enhancing data analysis capabilities.

Conclusion: A World Unveiled

To wrap it up, OSCOSCP , SEISC , SCHURRICANE , SCSC , Melissa , and Radar are all essential elements in understanding the technology and the environment around us. From mapping the earth to forecasting weather patterns, these technologies are transforming how we see, interpret, and interact with the world. As these technologies continue to develop, we can expect to see them playing an even more critical role in solving the world’s complex problems. By understanding the principles and applications of each component, we can appreciate the power and potential of radar technology. Keep exploring, keep learning, and keep an eye on the skies – there’s so much more to discover!