Hurricane Satellite Radar: A Detailed Overview

P.Encode 56 views
Hurricane Satellite Radar: A Detailed Overview

Hurricane Satellite Radar: A Detailed Overview

Understanding hurricanes is crucial for saving lives and minimizing damage. Hurricane satellite radar plays a vital role in this understanding. In this comprehensive overview, we will dive deep into how these sophisticated tools work, what they help us discover, and why they are indispensable in modern meteorology. From the basics of radar technology to the advanced applications in tracking and predicting hurricane behavior, we’ll cover it all. So, let’s get started and explore the fascinating world of hurricane satellite radar.

What is Hurricane Satellite Radar?

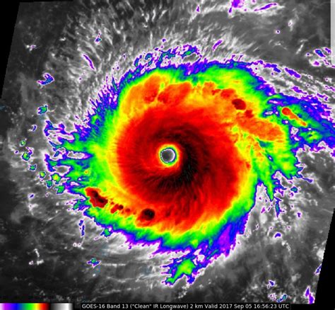
Hurricane satellite radar is a type of remote sensing technology used to observe and analyze hurricanes from space. Unlike traditional weather satellites that primarily capture images using visible and infrared light, radar systems actively emit microwave signals and then measure the signals that bounce back from the storm. This active sensing approach allows scientists to gather detailed information about the internal structure of a hurricane, even when it is obscured by clouds. One of the key advantages of using radar is its ability to penetrate heavy rain and clouds, providing a clear view of the storm’s core. This is particularly important because the most intense activity, such as the eyewall and rainbands, often occurs deep within the hurricane. The data collected by hurricane satellite radar includes measurements of rainfall intensity, wind speeds, and the three-dimensional structure of the storm. This information is essential for improving our understanding of hurricane dynamics and enhancing the accuracy of weather forecasts. Furthermore, hurricane satellite radar helps in monitoring the changes in a hurricane’s intensity and track its movement over time, aiding in timely evacuation and disaster preparedness efforts. The integration of this technology into meteorological practices has significantly advanced our ability to predict and respond to these devastating natural phenomena, making communities safer and more resilient.

How Does Hurricane Satellite Radar Work?

The functionality of hurricane satellite radar is based on the principles of radar technology, which involves emitting electromagnetic waves and analyzing the reflected signals. Here’s a detailed look at the process: First, the satellite emits microwave pulses towards the hurricane. These pulses travel through the atmosphere and interact with the various elements within the storm, such as raindrops, ice particles, and even the ocean surface. When the microwave pulses encounter these elements, they are scattered in different directions. A portion of the scattered signal is reflected back towards the satellite. The satellite’s radar system then captures these reflected signals and measures their characteristics, including the intensity, frequency, and time delay of the returning waves. The intensity of the reflected signal is directly related to the amount and size of the raindrops or ice particles in the storm. Stronger signals indicate heavier rainfall rates, while weaker signals suggest lighter precipitation. By analyzing the frequency of the returning waves, scientists can determine the velocity of the raindrops, which provides valuable information about the wind speeds within the hurricane. The time delay between the emission and reception of the signals is used to calculate the distance to the scattering elements, allowing scientists to create a three-dimensional map of the hurricane’s structure. Hurricane satellite radar systems often employ techniques like Doppler radar to measure the motion of raindrops, providing insights into the storm’s wind fields. This data is then processed using sophisticated algorithms to generate detailed images and data sets that reveal the inner workings of the hurricane. The resulting information is crucial for understanding the storm’s intensity, structure, and potential path, aiding in more accurate forecasting and better preparedness measures.

Benefits of Using Satellite Radar for Hurricane Tracking

Using satellite radar for hurricane tracking offers numerous advantages over traditional methods. One of the primary benefits is its ability to provide a comprehensive view of the storm’s internal structure, even when it’s obscured by thick clouds. Unlike visible and infrared satellite imagery, radar can penetrate clouds and precipitation, giving scientists a clear picture of the hurricane’s core. This is particularly useful for identifying key features such as the eyewall, rainbands, and any developing secondary eyewalls, which can significantly impact the storm’s intensity. Another significant advantage is the accuracy of the data collected. Satellite radar can measure rainfall rates and wind speeds with a high degree of precision, allowing for more accurate assessments of the hurricane’s strength. This information is crucial for forecasting the storm’s potential impact on coastal areas and for issuing timely warnings. Furthermore, satellite radar provides continuous monitoring capabilities. Satellites can track hurricanes over vast stretches of ocean, including remote areas where ground-based radar systems are not available. This continuous monitoring helps in detecting changes in the storm’s intensity and direction, providing valuable lead time for evacuation and disaster preparedness efforts. The use of satellite radar also enhances our understanding of hurricane dynamics. By analyzing the data collected, scientists can gain insights into the processes that drive hurricane intensification and weakening. This knowledge is essential for improving forecasting models and developing more effective strategies for mitigating the impact of these devastating storms. In summary, satellite radar is an indispensable tool for hurricane tracking, offering unparalleled accuracy, comprehensive coverage, and continuous monitoring capabilities.

Limitations and Challenges

While hurricane satellite radar provides invaluable data, it also comes with its own set of limitations and challenges. One of the primary limitations is the spatial resolution of the radar images. While satellite radar can penetrate clouds and provide detailed information about the storm’s structure, the resolution may not be as high as that of ground-based radar systems. This can make it difficult to resolve fine-scale features within the hurricane, such as small-scale vortices or localized areas of intense rainfall. Another challenge is the temporal resolution. Satellites typically have a limited number of overpasses per day, which means that the data is not continuously available. This can be a problem when tracking rapidly evolving hurricanes, as the storm’s intensity and structure can change significantly between satellite passes. Data processing and interpretation also pose challenges. The data collected by satellite radar is complex and requires sophisticated algorithms to process and interpret. Scientists need to account for various factors, such as atmospheric attenuation and surface scattering, to accurately estimate rainfall rates and wind speeds. Furthermore, the accuracy of the data can be affected by the presence of sea spray and foam on the ocean surface, which can interfere with the radar signals. Cost is another consideration. Developing, launching, and maintaining hurricane satellite radar systems is expensive. This can limit the number of satellites that are deployed and the frequency with which they are upgraded. Despite these limitations and challenges, hurricane satellite radar remains an essential tool for hurricane tracking and forecasting. Ongoing research and technological advancements are continually improving the capabilities of these systems, helping to overcome these limitations and enhance our ability to predict and respond to these devastating storms.

Future of Hurricane Satellite Radar Technology

The future of hurricane satellite radar technology looks promising, with ongoing advancements poised to enhance our ability to understand and predict these powerful storms. One of the key areas of development is improved spatial and temporal resolution. Researchers are working on developing new radar systems that can provide higher resolution images, allowing for a more detailed view of the hurricane’s internal structure. This will help in identifying small-scale features and processes that can impact the storm’s intensity. Efforts are also being made to increase the frequency of satellite overpasses, providing more continuous monitoring capabilities. This can be achieved by deploying more satellites or by developing new orbital strategies that allow for more frequent observations. Another area of focus is the integration of satellite radar data with other sources of information, such as data from weather balloons, ground-based radar systems, and computer models. By combining these different data sources, scientists can create a more comprehensive picture of the hurricane and improve the accuracy of forecasts. Advances in data processing and machine learning are also playing a crucial role. Researchers are developing new algorithms that can automatically analyze satellite radar data and extract relevant information, such as rainfall rates, wind speeds, and storm surge potential. These algorithms can also help in identifying patterns and trends that may not be apparent to human observers. Furthermore, there is a growing emphasis on developing more affordable and accessible satellite radar technology. This will allow more countries and organizations to participate in hurricane monitoring and research, leading to a more global and collaborative effort. In summary, the future of hurricane satellite radar technology is focused on improving resolution, increasing monitoring frequency, integrating data sources, and developing more advanced data processing techniques. These advancements will enhance our ability to predict and respond to hurricanes, ultimately saving lives and reducing the impact of these devastating storms.