Category 5 Hurricanes: Understanding The Highest Level

P.Encode 32 views
Category 5 Hurricanes: Understanding The Highest Level

Category 5 Hurricanes: Understanding the Highest Level

Hey guys! Ever wondered about the most intense hurricanes out there? We’re talking about Category 5 storms – the absolute powerhouses of the tropical cyclone world. These storms aren’t just a bit windy and rainy; they’re capable of causing widespread devastation. So, let’s dive deep into what makes a Category 5 hurricane so formidable, how they’re classified, and some historical examples that really show their impact.

What Defines a Category 5 Hurricane?

The Saffir-Simpson Hurricane Wind Scale is what meteorologists use to classify hurricanes, and it’s based entirely on wind speed. A Category 5 hurricane is the highest level on this scale, reserved for storms with sustained winds of 157 mph (252 km/h) or higher . But hold on, there’s more to it than just wind! While wind speed is the defining factor for the category, these storms usually bring along a whole package of dangers like storm surge, heavy rainfall, and widespread flooding. The combination of these elements is what makes Category 5 hurricanes so incredibly destructive.

Wind Speed and Its Impact

Sustained winds of 157 mph or higher can cause catastrophic damage. Imagine trees being uprooted, homes being completely leveled, and power lines being torn apart. In these conditions, even well-built structures can suffer significant damage. The force of the wind is so intense that it can turn debris into dangerous projectiles, posing a severe threat to anyone caught in the storm’s path. It’s not just about things breaking; it’s about the sheer force reshaping the landscape.

Storm Surge and Coastal Flooding

Another critical aspect of a Category 5 hurricane is the storm surge. This is an abnormal rise in sea level during a hurricane, pushed inland by the storm’s winds. A Category 5 hurricane can produce a storm surge of over 18 feet, inundating coastal areas and causing massive flooding. This surge can sweep away homes, businesses, and infrastructure, leaving entire communities underwater. The combination of high winds and extensive flooding makes these storms particularly dangerous for coastal regions.

Rainfall and Inland Flooding

Category 5 hurricanes often bring torrential rainfall, which can lead to widespread inland flooding. The sheer volume of water can overwhelm drainage systems, causing rivers and streams to overflow their banks. This flooding can isolate communities, damage homes and businesses, and disrupt transportation networks. The risk of landslides and mudslides also increases in hilly or mountainous areas due to the saturated ground. It’s like the storm is attacking from all angles, not just with wind but with relentless water.

The Saffir-Simpson Hurricane Wind Scale Explained

The Saffir-Simpson Hurricane Wind Scale is a 1 to 5 rating based on a hurricane’s sustained wind speed. This scale estimates potential property damage. Hurricanes reaching Category 3 or higher are considered major hurricanes because of their potential for significant loss of life and damage. Here’s a quick rundown:

  • Category 1: 74-95 mph (119-153 km/h) - Minimal damage.
  • Category 2: 96-110 mph (154-177 km/h) - Moderate damage.
  • Category 3: 111-129 mph (178-208 km/h) - Extensive damage.
  • Category 4: 130-156 mph (209-251 km/h) - Extreme damage.
  • Category 5: 157 mph (252 km/h) or higher - Catastrophic damage.

Why Wind Speed Matters

Wind speed is the primary factor in determining a hurricane’s category because it directly correlates with the level of destruction. Higher wind speeds mean more force exerted on structures, leading to more severe damage. The scale provides a quick and easy way to understand the potential impact of a hurricane, allowing communities to prepare accordingly. It’s a crucial tool for emergency management and public safety.

Limitations of the Scale

While the Saffir-Simpson scale is useful, it has limitations. It only considers wind speed and doesn’t account for other factors like storm surge, rainfall, or the size of the storm. A smaller, intense hurricane might cause less overall damage than a larger, weaker one with a significant storm surge. Also, the scale doesn’t factor in the vulnerability of the affected area. A Category 3 hurricane hitting a densely populated coastal city will likely have a much greater impact than the same storm hitting a sparsely populated area. So, while the scale is a valuable tool, it’s important to consider the broader context when assessing a hurricane’s potential impact.

Historical Category 5 Hurricanes

Throughout history, numerous Category 5 hurricanes have left a lasting impact on communities around the world. These storms serve as stark reminders of the immense power of nature and the importance of preparedness. Let’s take a look at a few notable examples:

Hurricane Katrina (2005)

Hurricane Katrina is perhaps one of the most infamous Category 5 hurricanes in history. It devastated the U.S. Gulf Coast, particularly New Orleans, in August 2005. Katrina reached Category 5 status over the Gulf of Mexico, with sustained winds of 175 mph. The storm surge caused catastrophic damage along the coast, and the levee failures in New Orleans led to widespread flooding. The aftermath of Katrina was marked by significant loss of life, displacement of communities, and long-term economic and social impacts. It highlighted the vulnerabilities of coastal cities and the need for improved disaster preparedness and response.

Hurricane Irma (2017)

Hurricane Irma was an incredibly powerful Category 5 hurricane that impacted the Caribbean and Florida in September 2017. It maintained Category 5 status for an extended period, with sustained winds of 185 mph. Irma caused widespread destruction across the Caribbean islands before making landfall in Florida. The storm surge and high winds caused extensive damage to homes, infrastructure, and natural habitats. The recovery efforts were massive, and the storm underscored the importance of resilient infrastructure and effective evacuation plans.

Hurricane Maria (2017)

Also in 2017, Hurricane Maria struck Puerto Rico as a Category 4 hurricane, but it had previously reached Category 5 status. Maria caused catastrophic damage to the island’s infrastructure, including its power grid and communication systems. The storm resulted in a widespread humanitarian crisis, with many communities left without access to basic necessities. The recovery process has been long and challenging, highlighting the need for investments in resilient infrastructure and disaster preparedness in vulnerable regions.

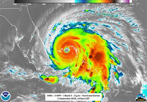
Hurricane Dorian (2019)

Hurricane Dorian was another extremely powerful Category 5 hurricane that devastated the Bahamas in September 2019. It stalled over the islands for an extended period, bringing catastrophic winds, storm surge, and rainfall. The damage was widespread, with homes, businesses, and infrastructure completely destroyed. The humanitarian response was significant, and the storm underscored the need for international cooperation in disaster relief efforts. Dorian served as a reminder of the vulnerability of low-lying island nations to the impacts of climate change.

Hurricane Otis (2023)

Hurricane Otis rapidly intensified into a Category 5 hurricane before making landfall in Acapulco, Mexico, in October 2023. This rapid intensification caught many by surprise, and the storm caused widespread destruction in the city. The damage to infrastructure and homes was extensive, and the recovery efforts are ongoing. Otis highlighted the challenges of predicting rapid intensification events and the importance of timely warnings and preparedness measures.

Preparing for a Category 5 Hurricane

Okay, so knowing what a Category 5 hurricane is and what it can do is one thing, but being prepared is a whole other level. When a storm that intense is on its way, you’ve got to take it seriously. Here’s a rundown of what you should do to get ready:

Evacuation Planning

If you live in an area that’s prone to hurricanes, especially a coastal region, knowing your evacuation route is crucial. When officials issue an evacuation order, don’t hesitate. Pack a bag with essentials like medications, important documents, and a change of clothes. Plan where you’ll go – whether it’s a shelter, a friend’s house inland, or a hotel. The key is to get out of harm’s way before the storm hits.

Stocking Up on Supplies

Imagine being stuck at home without power or access to stores for days. Not fun, right? That’s why having a well-stocked emergency kit is super important. Include things like non-perishable food, bottled water (at least one gallon per person per day), a first-aid kit, flashlights, batteries, and a manual can opener. Don’t forget things like prescription medications and personal hygiene items. It’s like preparing for a camping trip, but instead of enjoying nature, you’re weathering a storm.

Protecting Your Home

Your home is your castle, and you want to protect it as much as possible. Before a hurricane hits, take steps to reinforce it. This might include boarding up windows with plywood or installing storm shutters. Secure any loose objects in your yard, like patio furniture, trash cans, and decorations, as these can become dangerous projectiles in high winds. Trim trees and shrubs around your home to prevent them from falling on your house. If you’re a homeowner, review your insurance policy to make sure you have adequate coverage for hurricane damage. It’s all about minimizing potential damage and keeping your family safe.

Staying Informed

During a hurricane, staying informed is vital. Monitor local news channels, weather websites, and social media for updates on the storm’s path, intensity, and any evacuation orders. Have a battery-powered radio in case the power goes out. Sign up for emergency alerts from your local government to receive timely notifications. Knowing what’s happening helps you make informed decisions and take appropriate action.

Community Preparedness

Finally, remember that preparing for a hurricane is not just an individual effort; it’s a community effort. Get involved in local preparedness initiatives, attend community meetings, and volunteer to help others in need. Check on your neighbors, especially those who may be elderly or have disabilities. By working together, we can build more resilient communities that are better prepared to withstand the impacts of Category 5 hurricanes.

The Future of Category 5 Hurricanes

With climate change continuing to impact our world, the future of Category 5 hurricanes is a topic of serious concern. Scientists are working to understand how rising sea temperatures and changing atmospheric conditions may affect the frequency and intensity of these storms. While predicting the future is always challenging, research suggests that we may see more intense hurricanes in the years to come.

Climate Change and Hurricanes

Climate change is causing the ocean to warm, and warmer waters provide more energy for hurricanes to develop and intensify. This means that hurricanes may become stronger and more destructive. Additionally, rising sea levels can exacerbate storm surge, increasing the risk of coastal flooding. Changes in atmospheric patterns may also affect the tracks of hurricanes, potentially bringing them to areas that have not historically been as exposed.

Research and Modeling

Scientists are using advanced computer models to simulate hurricane behavior and project future trends. These models take into account various factors, such as sea surface temperatures, atmospheric conditions, and climate change scenarios. While the models are not perfect, they provide valuable insights into the potential impacts of climate change on hurricanes. Continued research and improvements in modeling techniques are essential for improving our understanding and preparedness.

Mitigation and Adaptation

Addressing the future of Category 5 hurricanes requires a two-pronged approach: mitigation and adaptation. Mitigation involves reducing greenhouse gas emissions to slow down climate change. This requires global cooperation and significant changes in energy production and consumption patterns. Adaptation involves taking steps to protect communities from the impacts of hurricanes, such as building stronger infrastructure, improving evacuation plans, and restoring coastal ecosystems.

Building Resilience

Ultimately, the key to dealing with the future of Category 5 hurricanes is building resilience. This means creating communities that are better prepared to withstand the impacts of these storms and recover quickly afterward. Resilience involves a combination of physical infrastructure, social networks, and economic resources. It also requires a commitment to learning from past experiences and continuously improving our preparedness efforts.

So, there you have it – a comprehensive look at Category 5 hurricanes. They are truly forces of nature to be reckoned with. By understanding their power, preparing effectively, and staying informed, we can better protect ourselves and our communities from these devastating storms. Stay safe out there, guys!